
岁月流逝,红颜渐老,皮肤松弛、粗糙、色斑、细纹统统出现……艺星皮肤美容中心拥有王者风范OPL,炫彩彩光IPL系统等,拥有多个专利技术和探头,全面改善肤质,让肌肤再现年轻态,守住时光的秘密,尽在艺星立体彩光嫩肤。




艺星 引进具影响力的医学美容肌肤护理研究中心管理模式, 艺星皮肤管理系统。通过在深度研究皮肤活性规律的基础上,由专业皮肤美容医师对顾客进行与护理相结合,内调与外治相结合的科学系统规范。
艺星皮肤美容中心采用来自的先进护肤理念,实时跟踪肌肤护理过程,灵活调整方案,把医学与美容学进行的结合,先检查后诊断,找到问题产生的原因再针对其问题提供解决方案。针对皮肤各种瑕疵、斑点、老化等产生的机理及生理特点,从皮肤深层入手解决皮肤问题,达到美肤的目的。

“光子”(IPL),医学上称为强脉冲光,光子嫩肤就是是应用光子技术/仪器改善与皮肤瑕疵并改善皮肤质量的医学嫩肤服务。
光子技术是利用频宽560nm至1200nm波长的光线照射,各种不同波长的光线只对特定组织反应,科学研究表明,某些波长的光能够刺激皮肤胶原蛋白的产生,而胶原蛋白的数量与质量决定了皮肤的肤质好坏。
光子技术主要帮助爱美人士解决两个方面的皮肤问题,一个是皮肤表面的瑕疵;二是改善皮肤的质量。艺星彩光嫩肤采用光子嫩肤仪进行的同时还配合专业医学护理及调节体内分泌平衡等手段,因而能够帮助皮肤恢复健康、水嫩、弹性和有光泽。

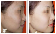
日光性老化的皮肤,干燥暗沉,出现色素、血管和细纹。

日光性老化的皮肤,干燥暗沉,出现色素、血管和细纹。

日光性老化的皮肤,干燥暗沉,出现色素、血管和细纹。

浅表性色素沉着斑,如雀斑、日晒斑、老年斑、黄褐斑;


细小皱纹、毛孔粗大、黯哑无光
泽、粗糙、皮肤松弛、弹性不足;

痘痘、痤疮、外伤、炎症后留下的疤痕或凹陷;


毛细血管扩张,即红血丝、面部潮红、面部红斑、红斑期酒渣鼻。

持续接触式冷却,更舒适;自动校准,避免无效光谱对皮肤的热损伤,嫩肤更、温和
大光斑,小光斑精细修复,效率较同类仪快3.5倍;光导持久性提高,疗效更持久
针对不同皮肤问题,借助强大数据库,精确计算数据,个性化,美肤嫩肤效果更理想
全面改善皮肤瑕疵,祛除细小皱纹、红血丝、色素沉着、鲜红斑痣、酒糟鼻等,及收缩粗大毛孔
4种激光光子技术全面提升皮肤的颜色、质地和弹性,是皮肤年轻化的*新技术
获得美国FDA、中国SFDA、欧盟CE和TUV认证,其疗效及性得到广泛认可
专业工控电脑提供激光及光子的能量密度和脉冲间隔等多种重要参数的精确控制
秉承Alma激光的高稳定性、低故障率的优异品质,体现技术先进与工艺精良
飞顿专利的AFT、高能像束激光、ST红外光波及EDF技术等多种技术复合改善皮肤老化
黄小姐 25岁 研究生
我五官还好,但皮肤油脂分泌多,毛孔较粗,黑头粉刺多,经过慎重的了解,决定在艺星做"黑脸娃娃"柔肤,现在脸蛋竟然真的清爽,毛孔细腻很多,完全胜任素颜。
林小姐 30岁 主编
产后皮肤变差肤色暗黄,没有光泽,隐约还有些细小的暗黄斑类的东西,做了彩光嫩肤和美白导入,皮肤变得白皙透亮多了。
郭女士 43岁 家庭主妇
家庭主妇也不好当,每天灰头土脸的,现在明显觉得皱纹、眼袋、皮肤松弛出来了,我不想做黄脸婆。我做了全套的嫩肤系列,色斑、皱纹、眼袋、暗黄全不见了,真的年轻了十岁。
倪小姐 38岁 销售经理
每天面对很多客户,不化妆是见不得人。肌肤又是敏感粗糙得要命。很多化妆品用不得。现在做了嫩肤后,皮肤明显改善了不少,皮肤光洁细腻多了。










